登頂年度風王!辛樂克破紀錄「35年最強4月颱」 大甩尾飆車「最新路徑曝光」

登頂年度風王!辛樂克破紀錄「35年最強4月颱」 大甩尾飆車「最新路徑曝光」
value101 2026-04-15 檢舉

登頂年度風王!辛樂克破紀錄「35年最強4月颱」 大甩尾飆車「最新路徑曝光」

登頂年度風王!辛樂克破紀錄「35年最強4月颱」 大甩尾飆車「最新路徑曝光」

1 / 3

 

登頂年度風王!辛樂克破紀錄「35年最強4月颱」 大甩尾飆車「最新路徑曝光」

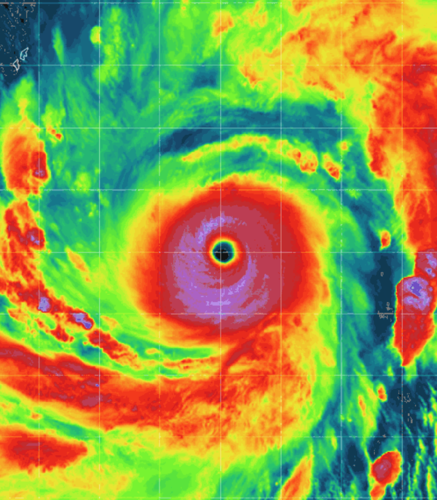
根據《ETtoday新聞雲》報導,今年第4號颱風「辛樂克」威力驚人,已晉升為2026年度最強「風王」!氣象專家吳聖宇透露,氣象署於週(12)日夜間更新數據,將辛樂克的中心最大風速上修至每秒60公尺,7級風暴風範圍更擴大到半徑350公里,刷新多項歷史紀錄。

 

 

登頂年度風王!辛樂克破紀錄「35年最強4月颱」 大甩尾飆車「最新路徑曝光」

圖片來源:easterlywave

這個超級颱風有多驚人?

自從1991年氣象署改用10分鐘平均風速作為颱風強度評估標準後,辛樂克已成為有紀錄以來威力最猛的4月颱風。

 

點擊下一頁,查看完整內容
下 一 頁

1 / 2

 

 

喜歡這篇文章嗎?

按個讚吧,不會令你失望!

已經讚了

標籤:

  分享這篇好文給親朋好友!